Skip to main content

Subsea Technologies no longer offers products from Klein

For more information on these systems, please visit: mind-technology.com/klein/

System 5900

Klein Marine System’s 5900 sonar is the flagship in our exclusive family of multi-beam side scan sonar systems. 

The system is a highly configurable multi-functional platform that allows high-speed surveys up to 12 knots with 100% bottom coverage. Its non-magnetic tow body is hydrodynamically designed to provide a stable towing for increased acoustic performance, natural depression capabilities and overall robustness. 

The Klein 5900 high-resolution side scan sonar doubles the already legendary resolution of the Klein 5000 for mine countermeasure (MCM) grade images. The 5900 uses more than twice the number of acoustic channels available on its predecessors. This coupled with a carefully selected center frequency of 600 kHz and an acoustic aperture of 182cm produces high-resolution images of superior quality.

 

MODERN AND PRACTICAL APPROACH TO MINE COUNTERMEASURE

The Klein 5900 compares (or even outperforms) commercial and military SAS systems in the acoustic near field for manned and unmanned towed applications.

 

Mine Countermeasure in Littoral Waters

Littoral waters present the frequent challenge of wave-induced motion on the towing vessel causing motion on the towed body. This situation is a major problem for conventional SAS systems inhibiting them from producing a synthetic image due to excessive heave variations. The architecture of the 5900 system relies instead on the known length of its segmented arrays to compute its synthetic beams.

Careful transducer design and narrow vertical beam-widths ensure delivery of outstanding shallow water performance by minimizing surface reflections typical of high sea state conditions of littoral waters.

 

MCM with any weather

MCM operations need to be conducted with high efficiency and high coverage rate in all sensible weather conditions. SAS systems compel the MCM Commander to limit operations to windows of good weather or low sea states. The 5900 dramatically expands the window of operations due to its inherent motion tolerance. This shortens the MCM campaign by weeks in some occasions. You go to sea you get images.

 

MCM in unfriendly or unknown Waters

When towing at 12 Knots in unknown waters, the high risk of damaging or even losing valuable equipment when operating in unknown waters is another consideration behind the Klein 5900 design. The sound processing architecture allows Klein Marine Systems to eliminate expensive and sometimes fragile components (high-end motion sensors and stabilization appendices). Furthermore, with the use of MIL-COTS components, the Klein can deliver high resolution systems at commercial prices. The total cost of ownership when including the operational risks of equipment damage or loss, is therefore minimized. 

Klein’s design philosophy is to avoid the complications, costs and ITAR restrictions of a full SAS implementation, focusing instead on shallow coastal waters and relatively short range MCM operations.

 

 Key Features

  • High-Speed Surveys up to 14 knots
  • 100% Bottom Coverage
  • Nadir Gap Filler Sonar
  • Swath Bathymetry Sonar
  • Actuated Depressor Wing with Dual Actuator
  • Roll Bias Compensation
  • Emergency Fly Out / Up
  • Integrated Motion Reference Unit 

 

Resources

 Data Sheet

 

Product Images

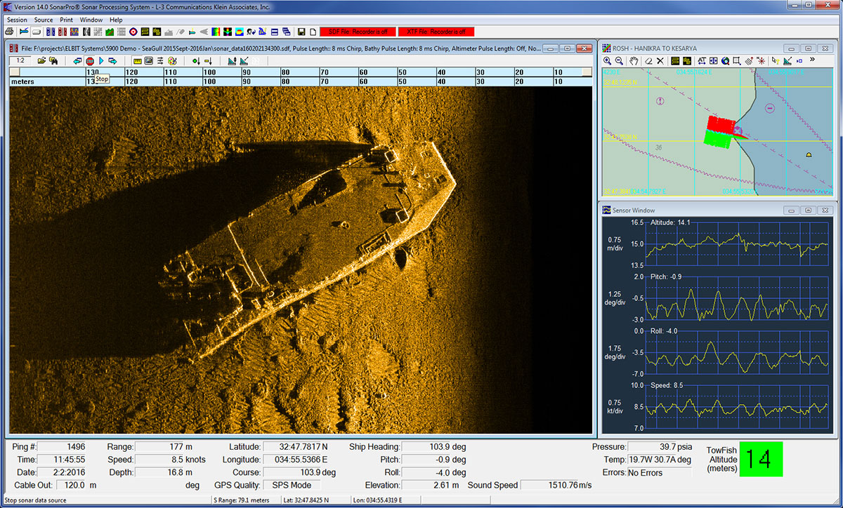
System 5900 Gap Fill Sonar System 5900 Sample Data @ 75m Nadir Gap Filler Sonar Head

Sample Bathymetry Sonar Data Mine Like Object (MLO) @ 130m - Starboard side with a rope/cable located @ 60m 5900 with optional Gap Filler Sonar (processed beam displays with targets) @ 75m range

5900 with optional Gap Filler Sonar (quality control and processed beam displays) @ 150m range  

  

 

Related Products

Chesapeake SonarWiz post-processing software

Easytrak USBL towfish tracking systems

 

 

 

⬅ Back to Klein product page